New York Construction Report staff writer
Work is set to begin on two major infrastructure projects on vital travel corridors in Central New York.
The $12 million projects, funded by the Bipartisan Infrastructure Law, will rehabilitate the Interstate 81 bridge over East Colvin Street in Syracuse; and create a new roundabout and make other improvements along State Route 31 in the Town of Cicero.
“Central New York is growing, and it is critical that our roads and bridges are made ready to withstand the challenges that lie ahead,” Governor Kathy Hochul said. “The investments being made to modernize our infrastructure will help keep our communities connected and ensure that both people and goods stay on the move as our economy continues to grow.”
The $3.7 million rehabilitation of the I-81 bridge includes construction of a new bridge deck and concrete barriers, the replacement of bridge approaches and bearings, concrete and steel repairs, and a fresh coat of paint. Located just south of the I-81 viaduct, the bridge was first constructed in 1965 and is projected to become part of the new Business Loop 81 once the viaduct is removed. This project is expected to extend the bridge’s lifespan by about 25 years.
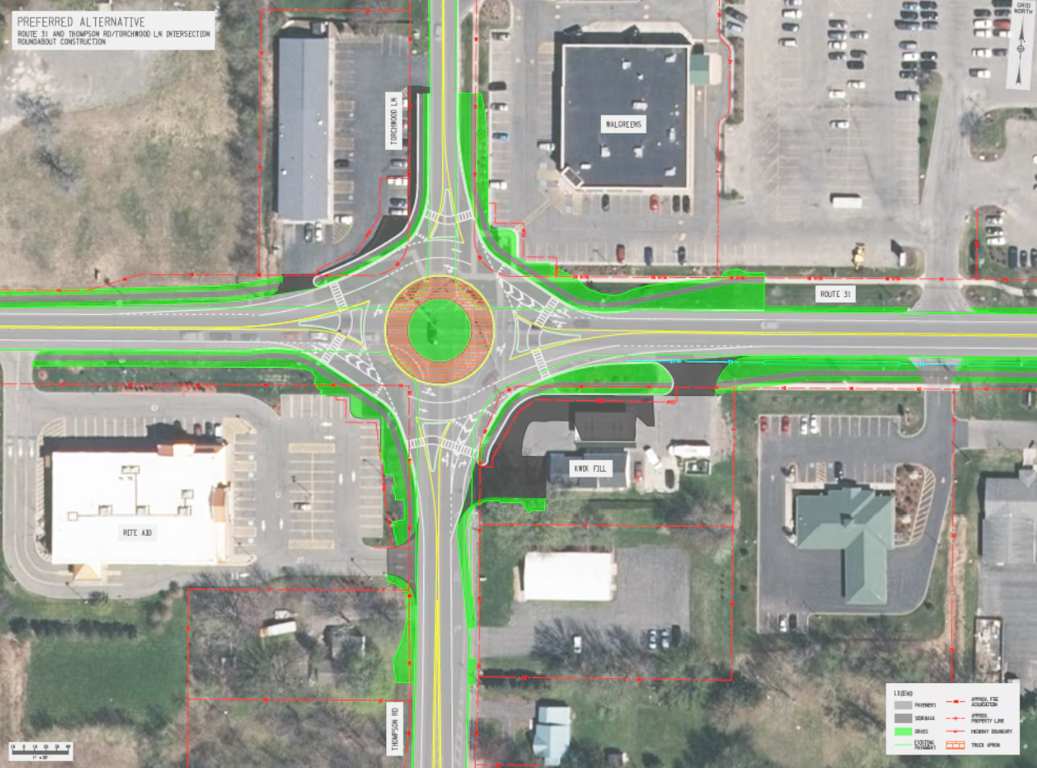
The $8.3 million intersection improvement project on State Route 31 in the Town of Cicero includes constructing a new roundabout at the intersection of Thompson Road/Torchwood Lane and the addition of left turn lanes at State Route 31 and South Bay Road.
Additionally, State Route 31 from Cicero-North Syracuse High School to South Bay Road, will be resurfaced, drainage in the area will be restored, and a sidewalk will be added on the south side of State Route 31.
Utility work is underway on the project with construction on the roundabout expected to begin next year. The project is expected to be completed by the end of 2025.
“The rehabilitation of the I-81 bridge over East Colvin Street signifies continued investment in the I-81 corridor, and an ongoing commitment to the safety and connectivity of our community,” said Syracuse Mayor Ben Walsh. “These projects pave the way for continued growth and opportunity for all residents.”









